2024年7月7日
ハウジングの中身忘れた
本日も志賀島へ
最近は水温の上昇と共に透明度も上がってきてるのでデジカメを持っていくことにして張り切って準備していきました。
もちろんレンズはフィッシュアイつけていきます。
先日水中で失くしたんですが2本目のダイビングの時に【サーチ&リカバリー】のスキルで「本気サーチ」しました。

「いざエントリー」という時に何か違和感がっっっ
ハウジングを見てみると軽い…。
すごく軽い気がする。
慌てて中を確認したら…
カメラが入ってない( ノД`)シクシク…
ハウジングの中にデジカメ入れるの忘れてきてしまいました。
しかたがないのでSさんのデータをいただきました。
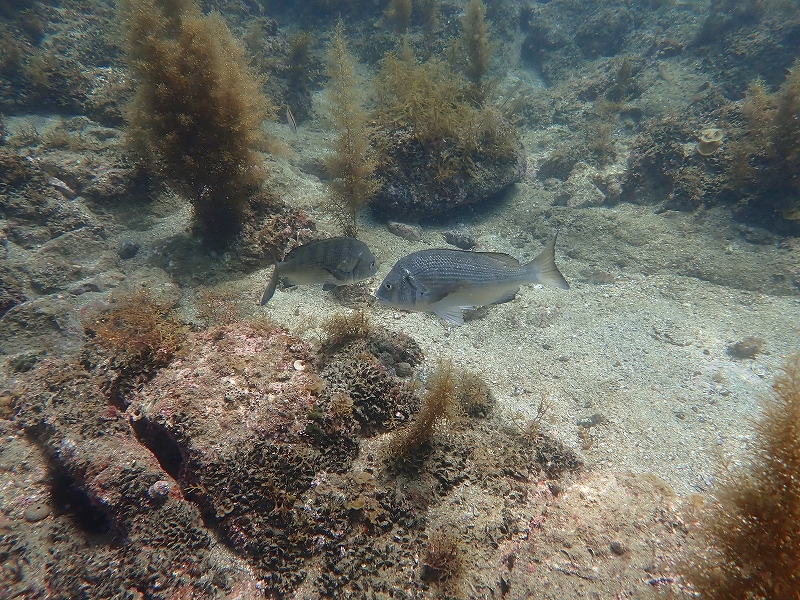
アオリイカの卵もチラホラ クロダイいっぱいです。
さてさて…
今日のデータですが、
水温は。エントリー口で26℃、水深8mくらいで24℃、平均して25℃くらいです。
もうウエットで十分潜れますね!!
次に潜る時はカメラも持っていきます